Explore
Sites
Resources
Images
Events
Periods
People
guest
Log in
Log out
Profile
Resource
Summary
Sites
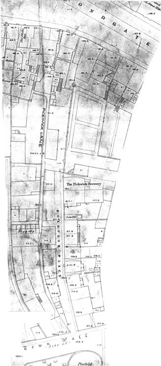
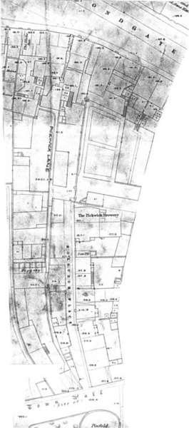
Pickwick Lane
Pickwick Lane in 1866
Lane Survey
OS Map